
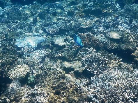
Our ‘local correspondent’, Terry who lives in Brisbane, sent an interesting response to our post expressing a little disappointment on our visit to the Great Barrier Reef. We found his comments very interesting and he has kindly agreed to us sharing them with you all – in case you are interested too. Continue reading From Our Australian Correspondent